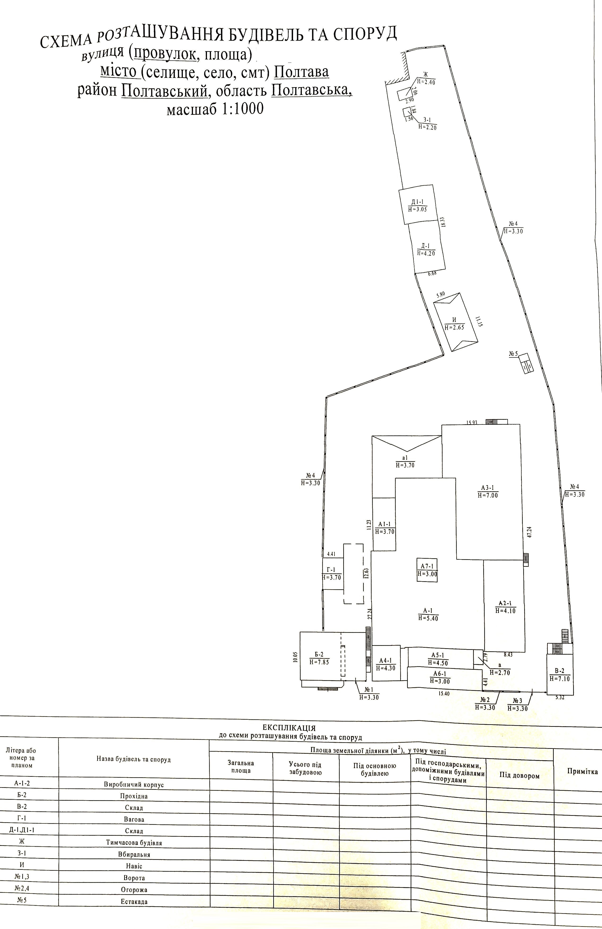
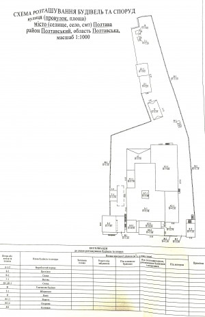
Продаж виробничої бази з окремою територією в Полтаві в районі Південного вокзалу, загальною площею будівель близько 2000м2 розміщена на земельній ділянці 0,4га
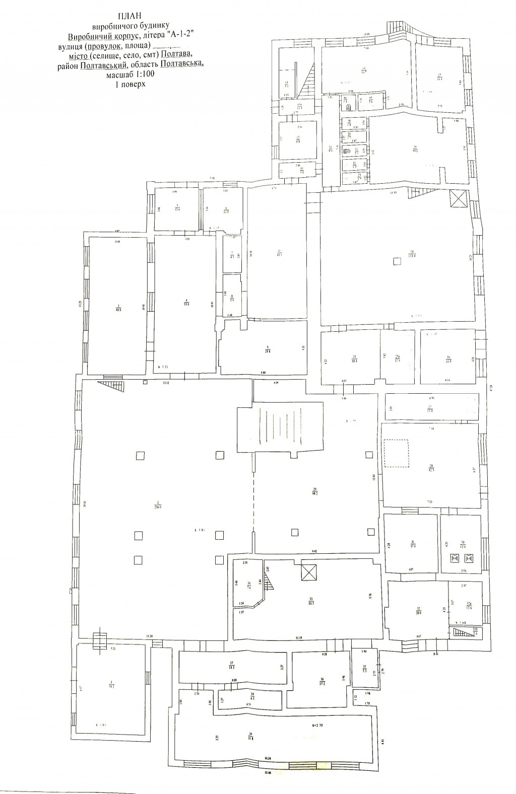
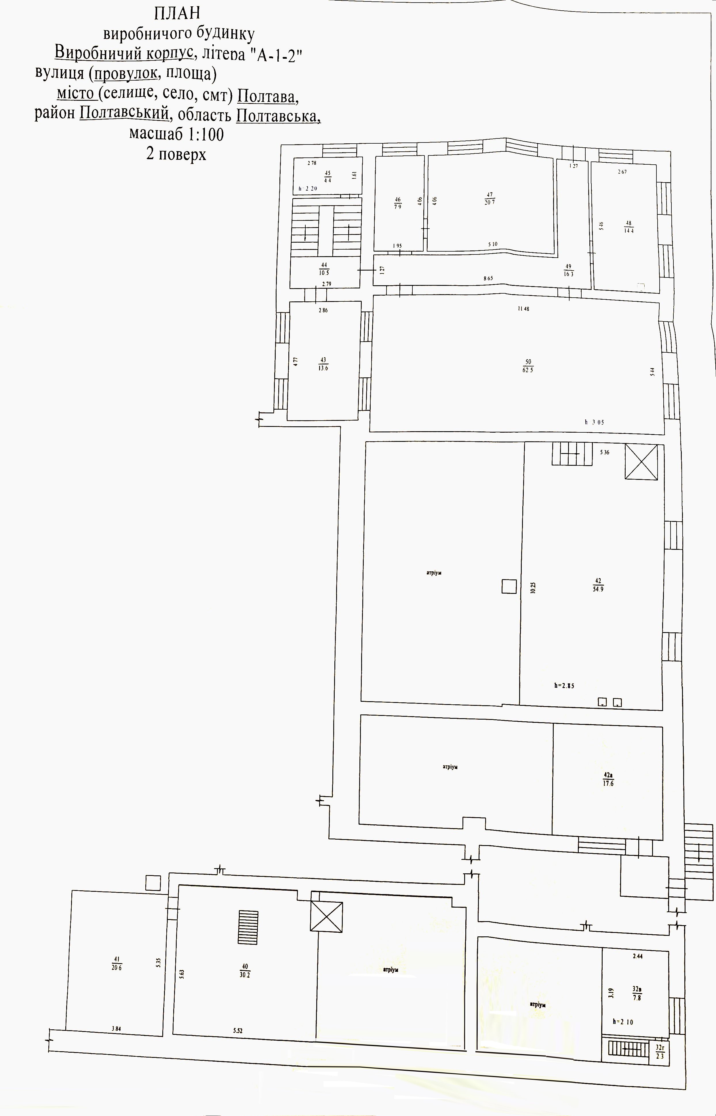
Опис: - двоповерховий виробничий корпус з офісними приміщеннями площею 1465,5 м2 - складські приміщення - вагова - прохідні - трансформаторна - огорожа
Комунікації: -газ -централізоване водопостачання та водовідведення -електропостачання КТП 160КВА (128кВт)
Вартість: $200 000 - додаткова сплачуються послуги АН- 3%